זמן טבע 1: מפרץ אילת
23/03/2020מתחת לפני המים באילת יש עולם מופלא וצבעוני - אלמוגים, שוניות, דגים ומגוון ענק של בעלי חיים מיוחדים.
את כל בעלי החיים שתראו בסרטון צילמו פקחי היחידה הימית של רשות הטבע והגנים, תוך כדי העבודה שלהם בשמירה על החיים בים.
זמן טבע מפרץ אילת
צפו בסרטון ובחנו את עצמכם:
בסרטון מופיעים בעלי החיים הבאים, נסו לזהות אותם:
- דגי דקר
- זהרון הדור
- שפמית ארסית
- צב ים קרני
- כריש לוויתן
- דג ברקודה
- דג שריונין
- דיונונית
- דגי נקאי
- דולפינן
- דגי בתרן שחום
- צב ים ירוק
הצלחתם? התבלבלתם? התשובות מופיעות כאן וגם משימה מיוחדת לילדים!
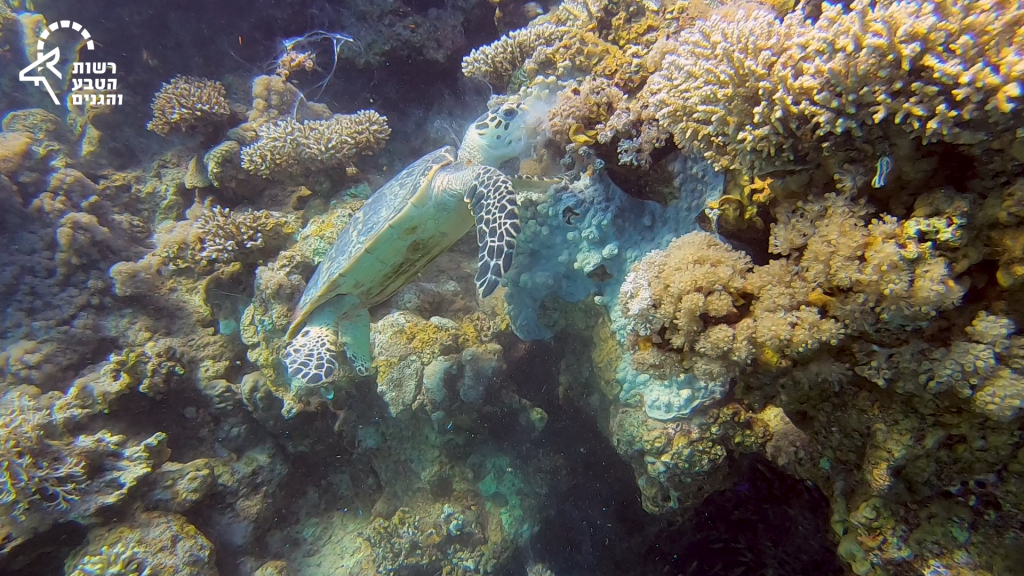
רשימת היצורים המימיים שמופיעים בסרטון – לפי הסדר:
- צב ים ירוק

1. צב ים ירוק, צילם עמרי יוסף עומסי
2. דיונונית

דיונונית מטילה ביצים, צילןם: עומרי יוסף עומסי
3. דג שריונין

3. דג שריונין, צילם עומרי יוסף עומסי
4. זהרון הדור

4. זהרון הדור, צילם עומרי יוסף עומסי
5. צב ים קרני

צב ים קרני גולן רידר, צילם גולן רידר
6. דגי דקר

6. דגי דקר, צילם עומרי יוסף עומסי
7-8. דג ברקודה ודגי נקאי

7. דג ברקודה ודגי נקאי, צילם דוקטור אסף זבולוני
9. דולפינן

9. דולפינן, צילם עומרי יוסף עומסי
10. דגי בתרן שחום

10. הזדווגות דגי בתרן שחום, צילם עומרי יוסף עומסי
11. שפמית ארסית

11. להקת שפמית ארסית, צילם עומרי יוסף עומסי
12. כריש לוויתן

12. כריש לוויתן, צילם עמרי יוסף עומסי
קחו משימה!
בחרו את אחד מהיצורים בסרטון, ציירו אותו ושלחו אלינו למייל oreng@npa.org.il או כהודעה בעמוד הפייסבוק של רשות הטבע והגנים
רוצים ללמוד עוד על היחידה הימית?
👈🏽 צפו בסרטון של "רבע לטבע" על היחידה הימית
רוצים לדעת למה כל כך חשוב לשמור על החיים בים?
👈🏽 קראו את הכתבה "היחידה הימית – נעים להכיר"





















